651

Немного про кошек1

Вот так выглядит кашель. Не путать пожалуйста со рвотой

7
Автор поста оценил этот комментарий

Возраст 3-5 лет. Масса в прошлом октябре 6500, сейчас 7300. Была кастрация. Обработка от паразитов - таблетка и капли на холку. Первый раз в октябре, как подобрали, капли. Затем таблетка, через месяц повторно таблетка. Ничего лишнего не выходило из него. Вирусы выявлены в анализе крови на ХВИ.


На натуралке (курогрудь сырая без кожи, сердечки, желудки, печень временами) был неоформленный стул раз в сутки. Перешли на Ветлайф - стул нормализовался более-менее. Он у нас обожает курицу, мы ему давали запечённую грудку без соли, масла и специй понемногу для аппетита, но тоже наблюдали срыв стула. Сейчас в течение дня он ест только сухой корм в неразмоченном виде и детское пюре из курицы, но поскольку он не пьёт, сушку мы ему даём по чуть-чуть. На ночь ставим тарелку с размоченной сушкой, ночью он её обычно съедает.


Шерсть была сухая, редкая и с перхотью. После перехода на Ветлайф шерсть и кожа пришли в хорошее состояние, сейчас тоже ок.

раскрыть ветку (1)
9
Автор поста оценил этот комментарий
Из возможного. Вижу что диета нарушается. Далее. Возможно хроническая энтеропатия. Обработки от гельминтов каниквантел по 3/4 таблетки сейчас, потом через 14 дней, потом раз в 3 месяца по весу. Надо бы знать что со слоистостью кишечника, нет ли выраженной слоистости за счет подслизистого или мышечного слоя. И если есть, то можно пробовать гипоалергенные корма. Это все из возможного. На гипертиреоз не похоже. На непроходимость тоже не похоже. Учитывая не постоянство рвоты. Похоже на какой то хронический процесс
показать ответы
5
Автор поста оценил этот комментарий

Кот подобран взрослым в чужом подъезде. Крупный, упитанный, жрал всякую дрянь типа сливочного масла, молочной каши и дешёвых сосисок. Воду не пьёт практически совсем, сейчас кормим размоченными промышленными кормами. Одно время неплохо ел Ветлайф гастро, но сейчас поставки этого корма прекращены - ищем другие варианты.


Суть проблемы: У кота рвота примерно раз в неделю (от 4 дней до 2 недель промежуток). Рвота неоднократная, по 4-5 раз в течение 2-3 часов. На голодный желудок и на сытый. На натуралке и на промышленном корме. На фоне приёма Омеза и Церукала.


После рвоты день-два лежит икает, облизывается (тошнота или рефлюкс), почти не ест. Потом всё благополучно от 2 дней до 12, потом опять начинает икать и облизываться ночью, и с утра или днём снова рвота.


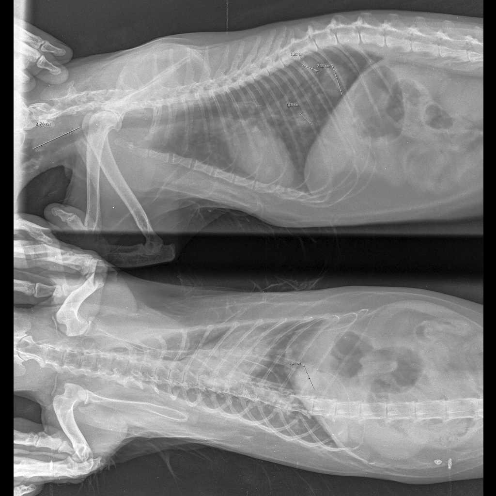
УЗИ показало множественное изменение внутренних органов, снижение перистальтики 12-перстной кишки, увеличение печени. Док говорит, это следствие наличия вирусов иммунодефицита и лейкоза.


Анализы сдавали, но это было после особо лютого эпизода (два дня кот рыгал каждые несколько часов, в итоге уже с кровью начал) - там АСТ и АЛТ повышены, остальное более-менее со слов терапевта приемлемо с учётом ХВИ. После этого эпизода купил пузырёк Маропиталя, ставлю в холку, если кот рыгает больше 3-4 раз подряд.


Хочу знать, какие есть возможные причины рвоты и чем можно помочь зверю.

раскрыть ветку (1)
6
Автор поста оценил этот комментарий

Подробно. Теперь уточнения. Возраст хотя бы примерный. Что сейчас с массой. Диарея да или нет. Обработка от внутренних и внешних когда и чем. Статус лейкоз и иммунодефицит подтвержден?

показать ответы
2
Автор поста оценил этот комментарий

Для наглядности надо рядом ставить несколько вариантов как кашляет, и как позывы к рвоте.

Всё познаётся в сравнении.

Наверное ключевое отличие будет это рефлекс открытия рта?

раскрыть ветку (1)
5
Автор поста оценил этот комментарий

поза. рвота происходит в сидячей позе обычно

1
Автор поста оценил этот комментарий

Челябинск

раскрыть ветку (1)
4
Автор поста оценил этот комментарий
К сожалению там никого не знаю. Вобщем те рекомендации, которые написал это единственное что могу предложить без собственного осмотра. Ищите гастроэнтеролога в городе
показать ответы
6
Автор поста оценил этот комментарий
При чем здесь ФИП и кашель?
раскрыть ветку (1)
4
Автор поста оценил этот комментарий
Вообще ни при чем
показать ответы
1
Автор поста оценил этот комментарий

Спасибо! Корма gastrointestinal без указания гипоаллергенности не подходят?


Детское пюре после рвоты больше не давать? Он тогда будет голодать, может несколько дней не есть. Или давать паштет гипоаллергенный?


Ещё какие-нибудь варианты, чем помочь коту, есть?

раскрыть ветку (1)
3
Автор поста оценил этот комментарий
Именно гипоалергенные. Не гастро. Вы из какого города?
показать ответы
1
Автор поста оценил этот комментарий

Так у Вашего пациента не астма? Мы периодически, когда начинает чахнуть делаем ингаляции небулайзером, беродуал с физраствором, на некоторое время купируется кашель. А лечили изначально целым списком от ветеринара, вплоть от иньекций преднизалона.

раскрыть ветку (1)
3
Автор поста оценил этот комментарий
Астма диагноз исключение. Если не помогает антибиотик, обработка и улучшение условий содержания, то тогда курсом преднизолон, а потом постепенно на ингаляции с фликсотидом переводим на минимально эффективную дозу и так и живут с этим
показать ответы
1
Автор поста оценил этот комментарий
похудеть для начала. Если есть хви - вероятно, что так и будут рецидивы. Гипоаллергенный корм это корм не вызывающий аллергию. Для чего его советовать, не понятно. Если есть проблема с печенью - попробуйте Hepatic либо так же оставайтесь на Gastrointestinal.
Лечения от вирусняков как правило - нет. Поддерживающая терапия. В Челябинске есть хорошие врачи в Панацее. Это вет. госпиталь
раскрыть ветку (1)
2
Автор поста оценил этот комментарий

у них высокая усвояемость и при хронических заболеваниях кишечника при рецидивирующей диарее и рвоте можно есть его

показать ответы
0
Автор поста оценил этот комментарий

В клиническом анализе мочи. Кошка стала проявлять беспокойство при походе в лоток по маленькому. По узи всё чисто, в биохимии крови АСТ и АЛТ повышен, коэф Ритиса понижен, повышен креатинин и соотношение креатинина и мочевины. Поставили диагноз бактериальный цистит и чего-то там с печенью, что-то типа ожирения печени. Назначили лечение в уколах о таблетках, перевели на корм уринари, через месяц контрольный анализ мочи и крови на выборочные показатели. Просто смутило такое количества белка в моче.

раскрыть ветку (1)
2
Автор поста оценил этот комментарий

с мочой, как вариант, проверьте соотношение белок креатинин. не теряет ли кошка белок с мочой. если по моче чисто (бактерии имею ввиду), то как вариант идиопатический цистит кошек. измерьте давление артериальное если кошка возрастная

показать ответы
3
Автор поста оценил этот комментарий

Док, привет!

Можно ли с Вами посоветоваться по поводу любимого котика? Буду рад оплатить консультацию в разумных пределах.

раскрыть ветку (1)
2
Автор поста оценил этот комментарий

Здравствуйте. В чем вопрос

показать ответы
1
Автор поста оценил этот комментарий

А этого абиссинчика Вы смотрели или это не Ваше видео? У нас такой же кашель у абиссина, диагностировали астму.

раскрыть ветку (1)
2
Автор поста оценил этот комментарий
Да это мой пациент. У него на обработках и антибиотике прошло
показать ответы
1
Автор поста оценил этот комментарий
Как минимум ищите нормальную вет клинику. Мы тоже намучились с кошкой из-за кашля, пока не нашли норм врачей. Сначал взяли анализы крови, потом сделали узи все органов, после рентген, по которому два независимых врача поставили диагноз бронхиальная астма. Назначенное лечение дало результаты уже через несколько дней.
раскрыть ветку (1)
1
Автор поста оценил этот комментарий

Комментарий правильный

0
Автор поста оценил этот комментарий

А что нужно делать, когда такое наблюдаешь?

У меня кошка наверное год назад оказывается кашляла, думал просто шерсть отрыгнуть хочет. Сейчас давно такого не было

раскрыть ветку (1)
1
Автор поста оценил этот комментарий

Для начала хотя бы обработать каниквантелом от гельминтов. А так к врачу

показать ответы
0
Автор поста оценил этот комментарий

Раз все советуются, позвольте и мне задать вопрос)


Забрали кота у других хозяев примерно в декабре, в возрасте примерно 1.5 года.


Через время кот начал кашлять, причем кашель длится 2-3 минуты и не понятно с чем связан, иногда его нет 3-4 дня, затем может появляться несколько раз за день. По звуку очень похож на видео, которое прикрепляли в комментариях. (Впринципе есть и свои видео, если есть возможность просмотреть - с радостью пришлю на почту)


Что пробовали:

Менять наполнитель в лотке

Менять корм


- Ветеринары давали курс антибиотиков дважды

- Делали анализы на паразитов (Отрицательно)

- Давали таблетки против паразитов

- Пробовали сиропы от кашля (Два разных от двух разных ветеринаров)

- Ветеринар прописывал диетический корм

- Рентген легких (Снимка нет, но по словам ветеринара - небольшое затемнение)

- Анализы крови (Не помню на что конкретно, но список был внушительный, ничего ветеринар в них не увидел)


Все это продолжается примерно 8 месяцев, несколько раз меняли клинику, ветеринары по кругу заставляют гонять одни и те же анализы, ни одна из попыток лечения не давала никаких улучшений.


Возможно подскажите куда стоит двигаться?


Заранее спасибо.

раскрыть ветку (1)
1
Автор поста оценил этот комментарий

Напишите в телеграм. В профиле есть

2
Автор поста оценил этот комментарий

Спасибо, не знал.

Не могли бы вы разъяснить следующее:

Кот, предположительно 8.5 лет, в последние лет 7 проблем со здоровьем нет. Спал на своём дереве, наверху. Проснулся, довольно резво слез вниз. Прошёл метров 10, начал вот так кашлять. С минуту где-то. А как прокашлялся - упал на бок, берём на руки - как-будто все мышцы расслаблены, как тряпочка висит. Пока собрались да доехали до котовой скорой помощи - минут 20 наверное - пришёл в себя. В скорой помощи ничего не нашли. Что это может быть? Я думал, что чего-то перекрылось в горле и он кислорода недостаточно получал, но дышал вроде нормально, да я и не доктор. После этого прошло месяца три наверное, всё хорошо.

Заранее спасибо.

раскрыть ветку (1)
1
Автор поста оценил этот комментарий

ТО что обмяк может говорить о приступе аритмии

показать ответы
0
Автор поста оценил этот комментарий

А на почки он не сильно повлияет?

раскрыть ветку (1)
1
Автор поста оценил этот комментарий

нет. противопоказания только истощенные животные. он выводится неизменном в виде с калом и мочой

показать ответы
1
Автор поста оценил этот комментарий

А из-за чего кот может кашлять *иногда*? Т.е. сел, покашлял, дальше нормально всё. Через пару недель может ещё покашлять. По анализам вроде всё норм, кроме слабо выраженной хпн с рождения.

раскрыть ветку (1)
1
Автор поста оценил этот комментарий
Обработайте от гельминтов для начала по весу. Каниквантел 1 раз в день 4 дня. Через 14 дней повторить. Потом 1 раз в 3 месяца
показать ответы
1
Автор поста оценил этот комментарий

У меня сфинкс с ГКМП, именно благодаря кашлю засуетились и поставили диагноз. Других симптомов не было, просто начала скапливаться жидкость в лёгких.

раскрыть ветку (1)
1
Автор поста оценил этот комментарий
Ну вот тут говорю как кардиолог. Не кашляют. Из-за гидроторакса одышка. Собаки кашляют из-за того что предсердие давит на трахею и стимулирует кашлевой рецептор. Поэтому кашляют. У кошек такого нет
показать ответы
0
Автор поста оценил этот комментарий

Можно узнать Ваше мнение, как специалиста? По результатам анализов у нашей кошки (помимо всего прочего) белок со значением 300+++. Ветеринар сказала, что за свою десятилетнюю практику видит такое впервые. Собственно вопрос: такое действительно может быть или это лабораторная ошибка?

раскрыть ветку (1)
1
Автор поста оценил этот комментарий

И что с кошкой то

0
Автор поста оценил этот комментарий

Не знаю что это, но вопрос ветеринару задам... спасибо. Действительно, а вдруг?

Зубы более менее нормально, как мне говорят, для этого возраста.

раскрыть ветку (1)
1
Автор поста оценил этот комментарий
Это абсцесс, который поднимается из поврежденных Зубов в носовую полость. А может и хроническая инфекция
показать ответы
0
Автор поста оценил этот комментарий

У меня ориентал, у которого не могу вылечить - такой же кашель + сопли (причем всегда в одной ноздре). Антибиотики убирают симптомы только на время приема. Замучилась сама и замучила кота этими таблетками, мои ветеринары ничего внятного не говорят. Посоветуйте, в каком направлении копать?

Это явно какая-то хронь - с детства. Но раньше было 1-2 раза в год, а теперь практически постоянно. Может, надо применить какие то суперлютые антибиотики? Анализы сдать на что-то очень специфичное?

Извините, крик души...

раскрыть ветку (1)
1
Автор поста оценил этот комментарий
А что с зубами
0
Автор поста оценил этот комментарий
Знаю. Кашель бывает от заболеваний сердца, или лëгких. При глистной инвозии, или простуды. Но при ФИПе, первый раз слышу
раскрыть ветку (1)
1
Автор поста оценил этот комментарий
Кошки не кашляют от сердца. Это мелкие собаки кашляют. При глистной инвазии да, при инфекциях и астме. Частенько из-за бордетел кашляют
показать ответы
0
Автор поста оценил этот комментарий

Нет, вы просто не отвечали неделю, потому я просто создал пост и мне через несколько дней расписали. Спасибо.

раскрыть ветку (1)
0
Автор поста оценил этот комментарий
Странно. Прокрутил вниз и чет не нашел новых контактов, которые писали
0
Автор поста оценил этот комментарий

Написал, заранее спасибо

раскрыть ветку (1)
0
Автор поста оценил этот комментарий

Либо напишите ник

0
Автор поста оценил этот комментарий

Написал, заранее спасибо

раскрыть ветку (1)
0
Автор поста оценил этот комментарий

Мы списались?

показать ответы
0
Автор поста оценил этот комментарий

Почему именно каниквантелом?

У мильбемакса тот же состав, только цена не такая охреневшая.

раскрыть ветку (1)
0
Автор поста оценил этот комментарий

Фенбендазол нужен

0
Автор поста оценил этот комментарий

У моего кота та он тоже бывало. И потом он как то лежал расслабленный редко, иногда блевал. И муж думал у него эпилепсия какая-то. А недавно мы ему от зубов давали стомаржил. И он перестал так делать. Я ещё удивилась, как то перестал блевать. А оказывается это кашель и вероятно антибиотики эту инфекцию вылечили.

раскрыть ветку (1)
0
Автор поста оценил этот комментарий

Надо зубы делать

0
Автор поста оценил этот комментарий

Не обещаю, но попробую поймать. Сейчас он крайне редко так кашляет

раскрыть ветку (1)
0
Автор поста оценил этот комментарий
Ок пока каниквантел по весу 1 раз в день 4 дня. Через 14 дней повторить. Это обработка от паразитов в терапевтической дозе
0
Автор поста оценил этот комментарий

По назначению врачей раз в три месяца. Там много препаратов было,каждый раз разный.

раскрыть ветку (1)
0
Автор поста оценил этот комментарий
Видео кашля бы
показать ответы
0
Автор поста оценил этот комментарий

Врачи ничего не нашли, на кашель по видео не похоже,шею тянет как при рвоте,даже есть небольшое срыгивание. НО! Только когда придушится,а не просто. Был в детстве бронхит,но его вылечили в двухмесячном возрасте. А вот эти... "акты" начались в месяцев 5. РГ, на глисты все проверен,по анализам чисто, не гастро(тоже проверяли), сердце в норме. Врачи в конце сказали,что уже только забор мокроты остался.

А он бодрый,весёлый, растёт совершенно нормально. До кошачьего психолога не дошли, ибо была мысль,что он посмотрел на то,как мы заботимся друг о друге с мужем, выплевывая лёгкие во времена ковида и решил так на себя внимание обращать.

раскрыть ветку (1)
0
Автор поста оценил этот комментарий
А обработки от гельминтов как проводили?
показать ответы
0
Автор поста оценил этот комментарий

Ну, отрицательный ответ - тоже ответ. Спасибо.

Просто проверяли от и до, всё в организме его нормально, но с год промучались,пытаясь найти логику в кашля. Сдавали сами анализы на коклюш. Подозревали даже ковид. В итоге пришли только к выводу выше.

раскрыть ветку (1)
0
Автор поста оценил этот комментарий
А так в итоге кашель что ли?
показать ответы
0
Автор поста оценил этот комментарий

Так. А теперь вопрос на миллион: когда моя дурно'та полуторогодовалая начала искать края стола или бортики коробок, душиться, а потом имитировать предрвотные потуги - это он просто на голову больненький? Потому что если мы с котом носимся 24/7 он так не делает. А если вдруг посмели, ироды, на работу одновременно уйти раз в неделю или я ночью не встала, когда он хотел совместный тыгыдык, то следом с 80% вероятностью будет хых-хых.

Иллюстрация к комментарию
раскрыть ветку (1)
0
Автор поста оценил этот комментарий
Тут к сожалению не отвечу
показать ответы
0
Автор поста оценил этот комментарий
Подскажите, пожалуйста, чем обработать кошку от гельминтов, если у нее после каждого лечения от глистов обострение аллергии. На что аллергия, не известно. На фоне аллергии - хобл. Два месяца была на преднизолоне, сейчас на серетиде.
Вроде и надо травить глистов, но боюсь ухудшения. Только только хруст в легких исчез.
раскрыть ветку (1)
0
Автор поста оценил этот комментарий
Можно попробовать каниквантел
0
Автор поста оценил этот комментарий

У меня с котом своя беда. Ему 11.7 Жду завтра анализов на т4 чтобы рассчитать сколько лекарства давать. Гипертиреоз по всему виду, далее видно дало на сердце и сейчас в лёгких отёк. хуже стал есть, пить, отдышка постоянная. Заебало что, вот говоришь ветврачу: "Смотрите, вот у кота на шее щитовидка уже с фалангу большого пальца, с сердцем вроде норм, но уже и по рентгену сами говорите там отёки. Что давать?"
Ветврач: "Ну смотрите, вы поговорите со своим врачом с анализами. тогда он и вам пропишет остальное. Ну у кота же астма скорее всего. Ну и до зимы не доживёт."
Я: Блять, я же у вас в прошлый раз обследовал кота, ну коту же херово сильнее. Ну хоть подскажите какие лекарства прописывают обычно при гипертиреозе и чем можно отёк снять?
Ветврач: Ну вы же кололи преднизолон ему кололи? Ну так дальше колите если ему лучше.

Пошел искать информацию по поводу того как вообще всё лечить коту. На операцию денег нет. Значит будем искать то что можно подручными. В итоге нашел что есть Тирозол. осталось понять в какой дозировке его давать и с чем еще можно давать, раз он уменьшает выработку гормонов, но надо еще и лёгкие коту лечить. Снимать отёк.
Поскребя по сусекам статей и литературы и ии ветеринарной было выведено, что когда щитовидка идёт по по одному месту из-за некоторых факторов, то она увеличивается и начинает усиленно вырабатывать гормон тироксин. Который в свою очередь напрягает сердце. неплохо так. Затем, из-за сердца затрудняется выведение жидкости из лёгких, так как повышено давление и пульс. В итоге мы имеем, что надо(ПО ИДЕЕ ЭТО ВСЕГО ЛИШЬ МОЁ РАССУЖДЕНИЕ) сперва понизить содержание гормона в крови, параллельно с этим еще и давление. Так как когда брали кровь в прошлую среду у кота, там прям залило аж медсестру. Затем нужно подавать мочегонное, для выведения излишка влаги, т.е. запустить в работу почки.

В идеале, в купе с тем, что это процесс долгий, да и опять же нет у меня еще большей информации по поводу совместимости лекарств, полнейшего курса приёма, я надеюсь, что кот выкарабкается.
Кот весит 4.5 уже, пол года назад было 6.
Безграммотно, много букв. Да и насрать. просто хотел поделиться. =(

Иллюстрация к комментарию
раскрыть ветку (1)
0
Автор поста оценил этот комментарий
Напишите в телегу
показать ответы
0
Автор поста оценил этот комментарий

Мне веты говорили, что никаких пеньков не должно быть. Любые обломыши убирают, потому что инфекция может попасть вниз к челюстной кости. Была кошка с сломанным клыком, так у ней чуть до остеосинтеза не дошло.

раскрыть ветку (1)
0
Автор поста оценил этот комментарий

ну вот поэтому надо зубы смотреть

показать ответы
0
Автор поста оценил этот комментарий
2 месяцев. Оксалат зачем?
раскрыть ветку (1)
0
Автор поста оценил этот комментарий

вобщем суть при разных типах камней. при струвитах мочу надо закислять. при оксалатах защелачивать

0
Автор поста оценил этот комментарий

Да, 2-х, опечаталась. Не знаю зачем нам его продали в таком случае(((

раскрыть ветку (1)
0
Автор поста оценил этот комментарий

хороший вопрос

0
Автор поста оценил этот комментарий

Офигеть... А по истечению 22-х месяцев на струвите можно оксалат давать?

раскрыть ветку (1)
0
Автор поста оценил этот комментарий

а потом опять сдать мочу и посмотреть остались ли еще струвиты. и пусть кошка больше воды пьеь

показать ответы
0
Автор поста оценил этот комментарий

Офигеть... А по истечению 22-х месяцев на струвите можно оксалат давать?

раскрыть ветку (1)
0
Автор поста оценил этот комментарий
2 месяцев. Оксалат зачем?
показать ответы
0
Автор поста оценил этот комментарий

Ничего себе... И как это понимать((( Это же совет лечащего врача....

раскрыть ветку (1)
0
Автор поста оценил этот комментарий

Сейчас посмотрела, корм называется уринари оксалат, сказали, что разница со струвитом не особая. Это так? Или всё-таки ещё струвит купить?

раскрыть ветку (1)
0
Автор поста оценил этот комментарий

ну у него как бы в противопоказаниях струвитный уролитиаз.

показать ответы
3
Автор поста оценил этот комментарий

Спасибо! Моё предложение оплаты консультации в силе. Подскажите, как с Вами связаться, чтобы телефон не светить.

раскрыть ветку (1)
0
Автор поста оценил этот комментарий
0
Автор поста оценил этот комментарий

А что именно тогда делает корм с пометкой уринари?

раскрыть ветку (1)
0
Автор поста оценил этот комментарий
Закисляет мочу
показать ответы
0
Автор поста оценил этот комментарий

Хм, а нам сказали, что подойдёт и уринари и струвит. Видимо второго не было, дали уринари. Докупить струвит и чередовать? Как долго его вообще давать?

раскрыть ветку (1)
0
Автор поста оценил этот комментарий
Струвит гораздо быстрее работает. Обычно месяца 2
показать ответы
0
Автор поста оценил этот комментарий

неорганизованные осадок в поле зрения струвиты 34-45-47, корм сухой monge cat urinary и влажный пока взяла на пробу по пакетику/баночке российского производтсва. Сегодня только второй день лечения.

раскрыть ветку (1)
0
Автор поста оценил этот комментарий
Это много. Надо корма которые с пометкой struvite
показать ответы
0
Автор поста оценил этот комментарий

Кошке примерно 10 лет, пришла к нам будучи беременной, стерилизована. В биохимии мочи белок/креатинин 0,0494 что попадает в пределы нормы. По клинике мочи есть следы билирубина и гемоглобина, немного эритроцитов и плоского эпителия, струвиты, бактерии кокки+. Назначили гептрал в/м, онсиор, кладаксу, стоп-цистит и фортифлору. Надеюсь, вопрос с печенью будет взят под контроль. Кошка подзаборная, но безумно любимая.

раскрыть ветку (1)
0
Автор поста оценил этот комментарий
Струвитов много? Для растворения корм назначили?
показать ответы
0
Автор поста оценил этот комментарий

Можно узнать Ваше мнение, как специалиста? По результатам анализов у нашей кошки (помимо всего прочего) белок со значением 300+++. Ветеринар сказала, что за свою десятилетнюю практику видит такое впервые. Собственно вопрос: такое действительно может быть или это лабораторная ошибка?

раскрыть ветку (1)
0
Автор поста оценил этот комментарий

В крови? Если да то явно ошибка должна быть.

показать ответы
Автор поста оценил этот комментарий
Подписалась на Вас.
раскрыть ветку (1)
0
Автор поста оценил этот комментарий
Спасибо
0
Автор поста оценил этот комментарий

У меня ориентал, у которого не могу вылечить - такой же кашель + сопли (причем всегда в одной ноздре). Антибиотики убирают симптомы только на время приема. Замучилась сама и замучила кота этими таблетками, мои ветеринары ничего внятного не говорят. Посоветуйте, в каком направлении копать?

Это явно какая-то хронь - с детства. Но раньше было 1-2 раза в год, а теперь практически постоянно. Может, надо применить какие то суперлютые антибиотики? Анализы сдать на что-то очень специфичное?

Извините, крик души...

раскрыть ветку (1)
0
Автор поста оценил этот комментарий
Если постоянно из одной ноздри то может апикальный абсцесс?
показать ответы
0
Автор поста оценил этот комментарий
А вы б поделились, что с котейкой
раскрыть ветку (1)
0
Автор поста оценил этот комментарий

Была инфекция. Какая вопрос. Потому что не было лаважа. Предположительно бордетелла

1
Автор поста оценил этот комментарий

Так у Вашего пациента не астма? Мы периодически, когда начинает чахнуть делаем ингаляции небулайзером, беродуал с физраствором, на некоторое время купируется кашель. А лечили изначально целым списком от ветеринара, вплоть от иньекций преднизалона.

раскрыть ветку (1)
0
Автор поста оценил этот комментарий
И я все описал в сильно упрощенной форме. Естественно все не всегда так просто

Темы

Политика

Теги

Популярные авторы

Сообщества

18+

Теги

Популярные авторы

Сообщества

Игры

Теги

Популярные авторы

Сообщества

Юмор

Теги

Популярные авторы

Сообщества

Отношения

Теги

Популярные авторы

Сообщества

Здоровье

Теги

Популярные авторы

Сообщества

Путешествия

Теги

Популярные авторы

Сообщества

Спорт

Теги

Популярные авторы

Сообщества

Хобби

Теги

Популярные авторы

Сообщества

Сервис

Теги

Популярные авторы

Сообщества

Природа

Теги

Популярные авторы

Сообщества

Бизнес

Теги

Популярные авторы

Сообщества

Транспорт

Теги

Популярные авторы

Сообщества

Общение

Теги

Популярные авторы

Сообщества

Юриспруденция

Теги

Популярные авторы

Сообщества

Наука

Теги

Популярные авторы

Сообщества

IT

Теги

Популярные авторы

Сообщества

Животные

Теги

Популярные авторы

Сообщества

Кино и сериалы

Теги

Популярные авторы

Сообщества

Экономика

Теги

Популярные авторы

Сообщества

Кулинария

Теги

Популярные авторы

Сообщества

История

Теги

Популярные авторы

Сообщества