Ksemash
Ответ на пост «Родители, опомнитесь!!!»9
Мне довелось побывать на лекции про детей с аутизмом. Как показывают социальные опыты, такие дети имеют возможность на нормальную жизнь только живя в среде с нормальными детьми. Если их помещают к себе подобным, то они никогда не смогут нормально учится и работать, только деградировать. НО таким детям нужен специально обученый тьютор, который будет находится с ним все время обучения и при необходимости выводить его из класса, а так же ему нужно объяснять материал на "языке" аутиста, а там совсем другая схема. Лекцию вела мама такого ребёнка, который закончил 9 классов, она сама была для него тьютером, а на данный момент она обучает этому всех желающих.
Помогите советом
Пикабу уже не раз помогал своим подписчикам, вот и мне понадобилась ваша помощь.
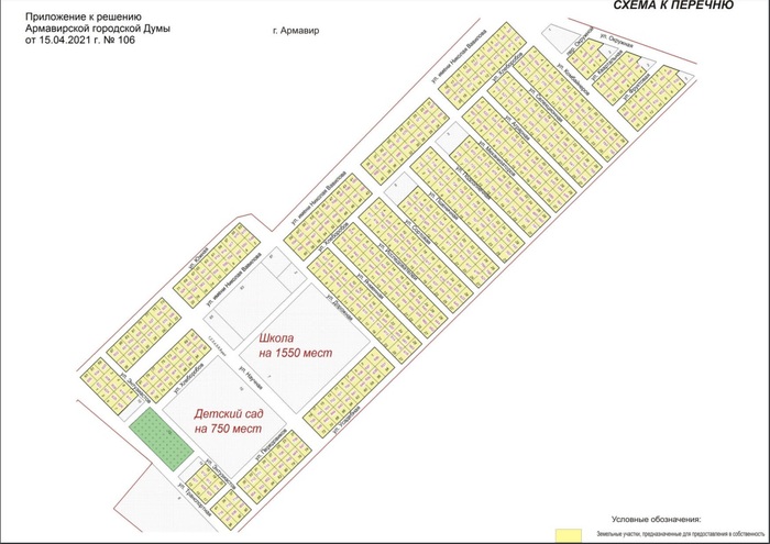
Наша семья - многодетная, получили землю от государства за третьего ребенка, и таких семей 445, нам выделили большой участок земли, на данный момент это чистое поле, есть план расположения наших участков, даже школа с садиком предусмотрены, в общем все радужно и красиво в планах, но на данный момент там нет ни света, ни воды, ни дорого, на машине туда не проедешь. На данный момент мы нашли 170 семей, которые получили участок, есть желание организовать ТОС (Территориальное общественное самоуправление), есть понимание, что нужно будет нанимать толково юриста, для оформления всех нужных документов.
Так вот вопрос..... с чего начать? Мнения в группе разделились, часть семей воспользовалась услугами кадастрового инженера и выставила колышки, другая часть говорит, что это лишняя трата денег , потом все равно надо будет их вставлять, так как они затеряются в траве/снесет ветром/сдадут в металлолом/и тд, третья собирают финансы на то чтобы сделать на своей улице дорогу, четвертые пишут заявление в электросети, чтобы им провели свет, а пятые им отвечают, что электросети туда даже не проедут чтобы что-то установить, потому как там нет дорог , а лишь одна грязь.
Конечно хочется, чтобы все было по уму и канализация и свет и вода, ливнёвки и дороги, причем чтобы дорогу не приходилось каждый раз переделывать проводя новую коммуникацию.
Очень хочется надеяться на нашу администрацию, успокоится и ждать, но как показывает состояние предыдущих выданных участков, администрация ждет пока подрастут наши внуки.

