Помогите советом
Пикабу уже не раз помогал своим подписчикам, вот и мне понадобилась ваша помощь.
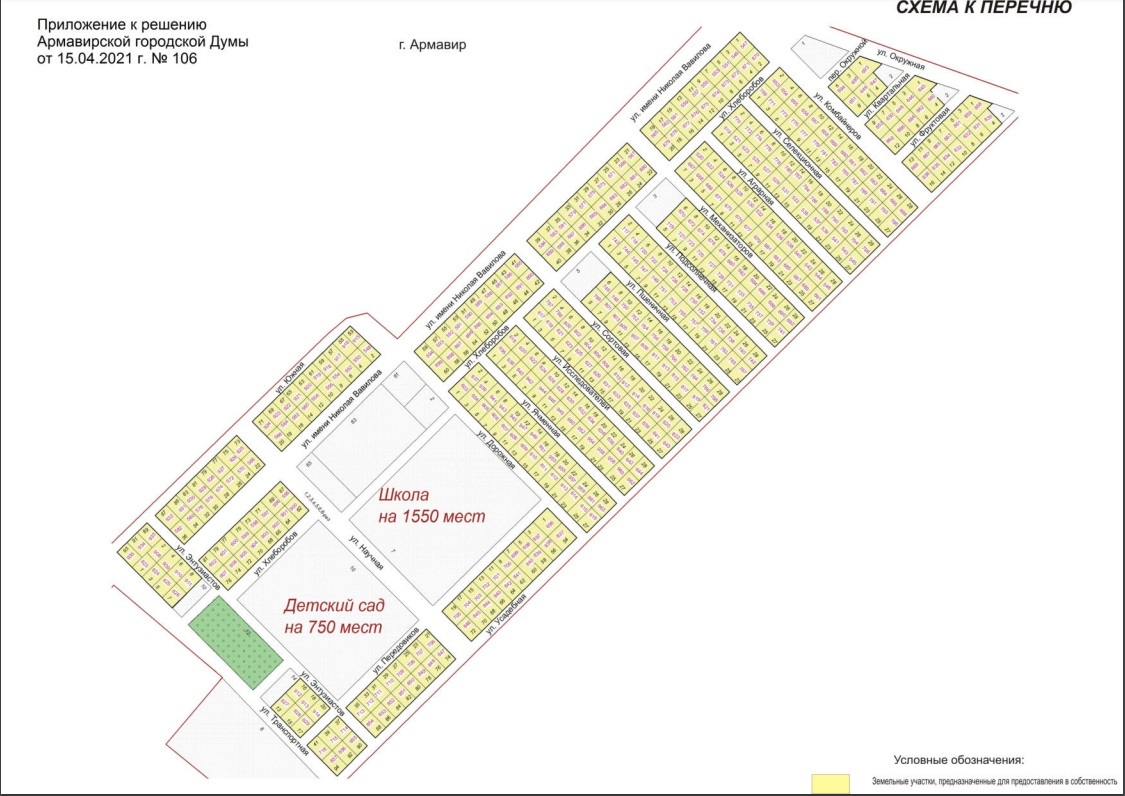
Наша семья - многодетная, получили землю от государства за третьего ребенка, и таких семей 445, нам выделили большой участок земли, на данный момент это чистое поле, есть план расположения наших участков, даже школа с садиком предусмотрены, в общем все радужно и красиво в планах, но на данный момент там нет ни света, ни воды, ни дорого, на машине туда не проедешь. На данный момент мы нашли 170 семей, которые получили участок, есть желание организовать ТОС (Территориальное общественное самоуправление), есть понимание, что нужно будет нанимать толково юриста, для оформления всех нужных документов.
Так вот вопрос..... с чего начать? Мнения в группе разделились, часть семей воспользовалась услугами кадастрового инженера и выставила колышки, другая часть говорит, что это лишняя трата денег , потом все равно надо будет их вставлять, так как они затеряются в траве/снесет ветром/сдадут в металлолом/и тд, третья собирают финансы на то чтобы сделать на своей улице дорогу, четвертые пишут заявление в электросети, чтобы им провели свет, а пятые им отвечают, что электросети туда даже не проедут чтобы что-то установить, потому как там нет дорог , а лишь одна грязь.
Конечно хочется, чтобы все было по уму и канализация и свет и вода, ливнёвки и дороги, причем чтобы дорогу не приходилось каждый раз переделывать проводя новую коммуникацию.
Очень хочется надеяться на нашу администрацию, успокоится и ждать, но как показывает состояние предыдущих выданных участков, администрация ждет пока подрастут наши внуки.

Лига Юристов
39K поста39.9K подписчика
Правила сообщества
1. Действуют общие правила Пикабу.
2. Дополнительно к правилам Пикабу предупреждение, скрытие комментария, бан в лиге или перемещение поста из лиги, можно получить за:
- глумление, издевательство, высмеивание, троллинг, провокации, подстрекательство пользователей к неправомерным и преступным действиям, рекламу своих услуг;
- оскорбление и/или унижение пользователей, социальных групп, народов, национальностей, комментарии экстремистского характера, разжигание национальной, расовой, религиозной и иной розни и ненависти;
- шитпостинг, постинг не на юридическую тематику.
3. Размещение ссылок на свои социальные сети в сообществе разрешено только в профиле. Размещение ссылок на свои социальные сети (телеграм-канал, дзен, инстаграм, вк и прочие) в посте расценивается как реклама. Такие посты будут выноситься из Лиги юристов, автор поста предупреждается о нарушении, и, при повторном нарушении - получать бан в сообществе.
4. Запрещено размещать в качестве поста или комментария сгенерированные искуственным интеллектом тексты. Комментарий будет скрыт, пост - вынесен из сообщества.