Ответ на пост «История о безлапом котике, глухих фондах»2
Добрый день Пикабу.Все наши читатели, и конечно же, подписчики.
Сегодня я помогаю информационно не равнодушной молодой семье и Рыжику.
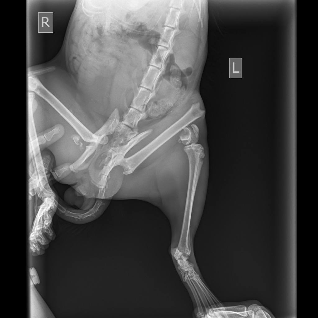
В прошлое воскресенье, молодые люди нашли котика с перебитыми задними лапами. Не смогли пройти мимо, и оставить красавца на верную смерть. Повезли в клинику. Анализы, обследования, осмотры. У котейки не нашли инфекций, но с лапками беда. Сложные переломы, и единственный выход, это остеосинтез. Начали поиск клиник и хирургов которые проведут операцию. Цены озвучивались от 40 до 100 тысяч за одну лапку(. Но ребята не сдавались, и продолжали поиски. Параллельно обратились в различные фонды, но во всех получили отказ.
И всё же, молодые люди смогли найти хирурга, который согласился прооперировать котана за 50 т. обе лапы. Плюс ОРИТ минимум на неделю. А это ещё 10 т. в сутки.
Вчера была проведена операция. Всё прошло не плохо. Коту дополнительно поставили стому, что бы докармливать. Но после операции начал падать гематокрит и эритроциты. Нужно переливание крови.
А значит, ещё очень и очень большие расходы. Необходим переезд в другую клинику, и переливание. Это ещё тысяч 20- 30((.
Кровь мы готовы для них сдать. Но само переливание и переезд стоят денег.
После лечения кот не будет пристраиваться. Он уже нашел свою любящую и ответственную семью, Александра и Катю. Но сейчас им очень нужна наша с вами помощь.
Помочь молодым людям можно, подписавшись на родительский пост. Пока они не могут подключить донат, но можно это сделать через Банду. https://pay.cloudtips.ru/p/5b82d7de. С обязательной пометкой, для Рыжика.
Огромное спасибо всем неравнодушным.
По традиции хочу предложить интересных авторов на Пикабу. Пожалуйста - читайте и подписывайтесь на @AlexRadio, @MamaLada, @Olivkovaya.Nimfa,, @ZaTaS,, @WarhammerWasea,, @Balu829, @Tertiusfilius, @Mefodii,@MorGott,@Bladerunner42, @kka2012, - спасибо.
@ItachiSanRUS и его волна добра для Пикабушников. @SPIDER3220, и странная коллекция.
Многие авторы, что бы помочь постам друг друга запустили флешмоб. Анонсируют интересных авторов. Присоединяйтесь.
Так же хочу напомнить, что многие интересные авторы перебрались в телеграмм.
https://t.me/death_MEM - @Deathman, много занимательного и смешного
https://t.me/popscienceru интересно об истории от @LKamrad,
https://t.me/Mama_Ladushka скоровские истории и много всего интересного от @MamaLada.



Котомафия
129K постов35.5K подписчика
Правила сообщества
В сообществе категорически запрещено:
✔Оскорблять других пользователей. Запрещено использование нецензурных выражений и ругательств. Замена части букв значками "@", "#", "$" и т. д. при вычислимости исходного слова не избавляет от ответственности. Категорически не рекомендуется использование грубо-просторечной лексики, а также упоминания физиологических отклонений;
✔ Сообщения не по теме. Публикуемые сообщения должны соответствовать заявленной теме сообщества;
✔Размещение постов о помощи животным в сообществе без обязательных тегов: #вдобрыеруки #помощь #без рейтинга
Так же напоминаем, что на Пикабу существует специальное сообщество ."Айболит. Помощь животным"
Дорогие друзья, которым не нравятся посты с просьбами о помощи животным, очень просим Вас добавить теги: #помощь #вдобрыеруки и др. в черный список.
✔Плагиат! Не присваивай себе чужие идеи, записи и другой авторский контент.
✔Некорректные комментарии в комментариях, откровенный флуд, провокации, пропаганду жестокого и безответственного отношения к животным и пр. участники заносятся в черный список без дополнительных пояснений и предупреждений!
✔Нарушать правила Пикабу.
Заметили нарушение правил: напишите ,
Не забывайте ставить тег "моё", "кот", "котомафия" если выкладываете своих любимцев.
Мы есть в VK: _fan, отмечайте нас на Ваших фото.